182 RYKERT Street, St. Catharines, Ontario, L2S2B7
MLS: 40796801 | House (Freehold)
$1,295,000















Property Description
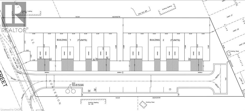
14-unit townhome development*, on 1 acre, on the West side of St. Catharines. 5 minutes to HWY 406, and 10 minutes to QEW. Zoned R1, permitting townhouses, private road projects, triplexes, duplexes, semi-detached, and detached developments. Its proximity to major HWY and amenities makes it a prime location for families and commuters. A growing population, zoning compliance and its level terrain make this a perfect opportunity for builders looking to start a project in the next 12 months*. *Pending site plan approval application. *The survey, concept plan, and pre-con notes are available upon request. (id:64974)
Quick Facts
- Property Type: House (Freehold)
- Bedrooms: 4 (4 above)
- Bathrooms: 2
- Living Area: 1,800 sq ft (167.2 m²)
- Above Grade: 1,800 sq ft (167.2 m²)
- Ownership: Freehold
- Attached: No
- Parking: 3 spaces (Attached Garage)
- Lot Size: 1.0040 acres (0.41 ha)
- Frontage: 140 ft (42.7 m)
Costs
- Annual Taxes: $5,787.00
Listing Provided by: Realty Network
Board: Cornerstone Association of REALTORS®
Data provided via CREA DDF®.
Detailed Features
Interior & Systems
- Heating: Natural gas
- Cooling: Central air conditioning
- Basement: Unfinished, Partial
Exterior & Construction
- Exterior: Stone, Vinyl siding
- Foundation: Unknown
- Sewer: Municipal sewage system
- Water: Municipal water
Lot & Land
- Lot Size: 1.0040 acres (0.41 ha)
- Frontage: 140 ft (42.7 m)
- Zoning: R1 Low Density Residential Suburban Neighbourhood
Community & Neighbourhood
- Subdivision: 462 - Rykert/Vansickle
Room Details (6 rooms)
Listing Information
Listing History
Buy/Sell/Terminated/Expired listing history for 182 RYKERT Street, St. Catharines, Ontario, L2S2B7
Location & Neighborhood
🚗 Travel times
Neighborhood Walkability
Mortgage & Cost Calculators
Nearby Homes (Within 2km)
Similar Homes
Similar Properties
No rental comparables found in this area.
Sold Comparables
Access to sold property data requires a registered and verified account with TRREB DDF integration.
Coming SoonRented Comparables
Access to rented property data requires a registered and verified account with TRREB DDF integration.
Coming Soon

























