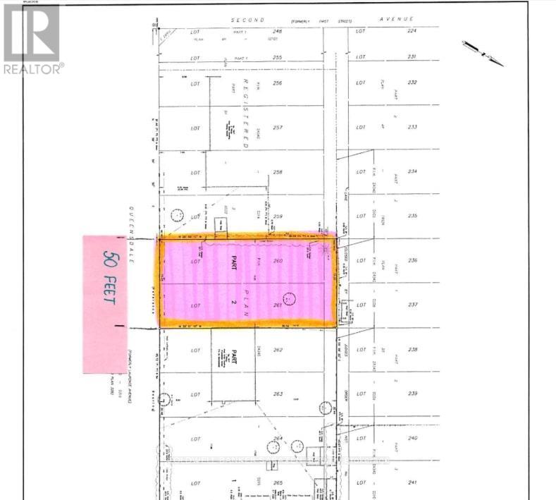
1513 QUEENSDALE AVENUE, Ottawa, Ontario, K1T1J3
MLS: X12211429 | Vacant Land
$385,000






Property Description
Priced to sell - don't miss this opportunity. Large 50' x 100' residential lot to build your custom dream home. The new lot is approved by way of a severance and a new registered plan (survey), registration to be completed prior to closing. A full array of municipal services are available on the street. Attractive central location in close proximity to South Keys and Hunt Club Plaza(s), several parks, golf courses and more. Please do not walk the property without express consent of the Listing Agent. (id:64974)
Quick Facts
- Property Type: Vacant Land
- Bedrooms: None
- Bathrooms: 0
- Parking: 2 spaces (No Garage)
- Frontage: 50 ft (15.2 m)
Costs
- Annual Taxes: $2,000.00 (2025)
Listing Provided by: COLDWELL BANKER SARAZEN REALTY
Board: Ottawa Real Estate Board
Data provided via CREA DDF®.
Detailed Features
Interior & Systems
- Utilities: Sewer, Electricity, Cable
Exterior & Construction
- Sewer: Sanitary sewer
- Water: Municipal water
Lot & Land
- Frontage: 50 ft (15.2 m)
- Zoning: Residential
Community & Neighbourhood
- Neighbourhood: 2605 - Blossom Park/Kemp Park/Findlay Creek
Listing Information
Listing History
Buy/Sell/Terminated/Expired listing history for 1513 QUEENSDALE AVENUE, Ottawa, Ontario, K1T1J3
Location & Neighborhood
🚗 Travel times
Neighborhood Walkability
Mortgage & Cost Calculators
Nearby Homes (Within 2km)
Similar Homes
Similar Properties
No rental comparables found in this area.
Sold Comparables
Access to sold property data requires a registered and verified account with TRREB DDF integration.
Coming SoonRented Comparables
Access to rented property data requires a registered and verified account with TRREB DDF integration.
Coming Soon



























