PT LT 12 LINCOLN Avenue, Cambridge, Ontario, N1R1X3
MLS: 40801259 | Vacant Land
$299,000










Property Description
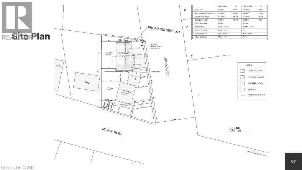
Prime R4 Low Density Residential-zoned land opportunity fronting on Lincoln Avenue in the heart of east Galt. This parcel is being offered for sale separately, with property taxes to be determined. A land severance application is currently in progress, intended to create a standalone lot. The triplex building is not included in this sale and is being offered separately through MLS, however both properties may be purchased together under separate agreement. This listing pertains only to the land, which currently includes a detached garage. The R4 zoning permits a range of residential uses, offering potential for infill development, redevelopment, or land repositioning, subject to municipal approvals. Excellent location close to downtown, transit, parks, shopping, and schools. All severance and development details are subject to municipal approval. (id:64974)
Quick Facts
- Property Type: Vacant Land
- Bedrooms: None
- Bathrooms: None
- Ownership: Freehold
- Frontage: 51 ft (15.5 m)
Costs
- Annual Taxes: $5,452.00
Listing Provided by: HomeLife Power Realty Inc.
Board: Cornerstone Association of REALTORS®
Data provided via CREA DDF®.
Detailed Features
Interior & Systems
- Basement: None
Exterior & Construction
- Sewer: Municipal sewage system
- Water: None
Lot & Land
- Frontage: 51 ft (15.5 m)
- Zoning: R4 Low Density Residential
Community & Neighbourhood
- Subdivision: 24 - Alison Park/Eastview North
Listing Information
Listing History
MLS listing activity for PT LT 12 LINCOLN Avenue, Cambridge, Ontario, N1R1X3 — dates reflect when changes were recorded in the DDF
Location & Neighborhood
🚗 Travel times
Neighborhood Walkability
Mortgage & Cost Calculators
Nearby Homes ?Nearby Homes — Search CriteriaSearch Radius1 kmPrice Range±5%Match BedroomsYesMatch BathroomsYes

PT LT 12 LINCOLN AVENUE, Cambridge
Vacant Land$299,000
$5,452/yr taxListing Courtesy of HomeLife Power Realty Inc

20 ELLIOTT Street, Cambridge
Vacant Land$1,500,000
$6,732/yr taxListing Courtesy of Exit Integrity Realty
Similar Homes ?Similar Homes — Search CriteriaSearch Radius5 kmPrice Range±5%Match Home TypeYesMatch BedroomsYes

PT LT 12 LINCOLN AVENUE, Cambridge
Vacant Land$299,000
$5,452/yr taxListing Courtesy of HomeLife Power Realty Inc

32 JOHNSON Road, Dunnville
Vacant Land$299,000
$35/yr taxListing Courtesy of Royal LePage State Realty Inc.

229 NORRIS ROAD, Tay Valley
Vacant Land$299,000
$1,260/yr taxListing Courtesy of FIRST CHOICE REALTY ONTARIO LTD.

107 - 2 BUTTERNUT LANE, Prince Edward County (Athol Ward)
Condo$299,000
$2,473/yr taxListing Courtesy of Royal LePage Frank Real Estate

312095 HIGHWAY 6 HIGHWAY, Southgate
Vacant Land$299,000
$1,019/yr taxListing Courtesy of REAL BROKER ONTARIO LTD.

40 JOHNSON Road, Dunnville
Vacant Land$299,000
$70/yr taxListing Courtesy of Royal LePage State Realty Inc.

0 BOUNDARY ROAD, Frontenac (Frontenac South)
Vacant Land$299,000
Listing Courtesy of EXP REALTY, BROKERAGE

0 ADDINGTON 2 ROAD, Addington Highlands (Addington Highlands)
Vacant Land$299,000
$300/yr taxListing Courtesy of COLDWELL BANKER ESCARPMENT REALTY

LOT 11 CONCESSION G, Ramara
Vacant Land$299,000
$697/yr taxListing Courtesy of SUTTON GROUP-ADMIRAL REALTY INC.

LOT 51 ROBINSON ROAD, Wasaga Beach
Vacant Land$299,000
$902/yr taxListing Courtesy of FARIS TEAM REAL ESTATE BROKERAGE

23 PEDWELL DRIVE, Northern Bruce Peninsula
Vacant Land$299,000
$833/yr taxListing Courtesy of RE/MAX Grey Bruce Realty Inc.

854 IRON MINE ROAD, Lanark Highlands
Vacant Land$299,000
Listing Courtesy of REMAX BOARDWALK REALTY

0 CLARENDON STREET E, Saugeen Shores
Vacant Land$299,000
$1,797/yr taxListing Courtesy of Royal LePage D C Johnston Realty

312095 HIGHWAY 6, Ayton
Vacant Land$299,000
$1,019/yr taxListing Courtesy of Real Broker Ontario Ltd.

19155 Light Cove AVENUE, Lighthouse Cove
No Building$299,000
$525/yr taxListing Courtesy of ROYAL LEPAGE PEIFER REALTY Brokerage
Similar Properties ?Active Comparables — Search CriteriaSearch Radius2 kmPrice Range±5%Match Home TypeYesMatch BedroomsYes
No rental comparables found in this area.
Sold Comparables
Access to sold property data requires a registered and verified account with TRREB DDF integration.
Coming SoonRented Comparables
Access to rented property data requires a registered and verified account with TRREB DDF integration.
Coming SoonBook a Viewing
PT LT 12 LINCOLN Avenue, Cambridge, Ontario, N1R1X3

