260 KING STREET W, Brockville, Ontario, K6V3S1
MLS: X12695678 | Retail
$598,500




Property Description
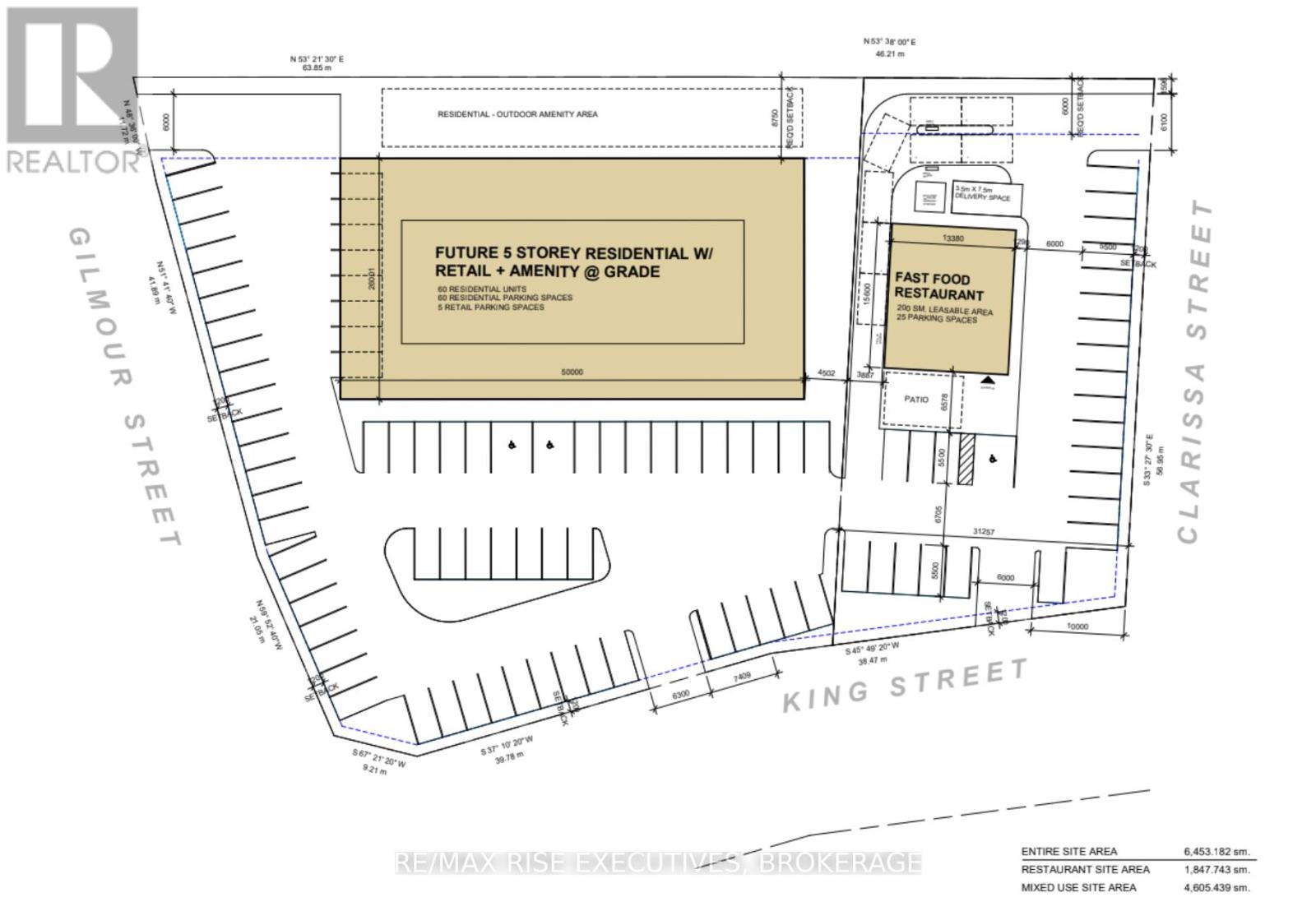
Exceptional opportunity to acquire a premier downtown Brockville corner (Sale is of Raw Land) with a Letter of Intent in place for a drive-thru development (terms subject to confidentiality). Details are available upon execution of an NDA. The LOI conditions are intended to run with the sale, and formal lease negotiations are underway. This offers a potential build-to-suit drive-thru restaurant opportunity with a major franchise tenant, subject to site plan approval and end-buyer development requirements. The Seller also owns an adjacent single-tenant property, and expanded acquisition opportunities may be considered. Location highlights: Key corner directly opposite Metro in downtown Brockville, less than one block to the Brockville Arts Centre, approximately 800 metres to Brockville City Hall, Immediate area momentum: adjacent rear lands recently developed with two multi-residential apartment buildings, approximately 500 metres to the recently approved Dailey Lot development (128 residential units). Further details cannot be disclosed without a signed NDA. Long Form of Lease for Tenant may be subject to first right of refusal to purchase by Tenant. (id:64974)
Quick Facts
- Property Type: Retail
- Bedrooms: None
- Bathrooms: None
- Living Area: 2,500 sq ft (232.3 m²)
- Lot Size: 0.4570 acres (0.18 ha)
- Frontage: 99 ft (30.2 m)
Costs
- Annual Taxes: $5,961.52
Listing Provided by: RE/MAX RISE EXECUTIVES, BROKERAGE
Board: Kingston & Area Real Estate Association
Data provided via CREA DDF®.
Detailed Features
Interior & Systems
- Heating: Forced air, Natural gas
- Cooling: Fully air conditioned
Exterior & Construction
- Water: Municipal water
Lot & Land
- Lot Size: 0.4570 acres (0.18 ha)
- Frontage: 99 ft (30.2 m)
- Features: Irregular lot size
- Zoning: MD
Community & Neighbourhood
- Neighbourhood: 810 - Brockville
Listing Information
Listing History
Buy/Sell/Terminated/Expired listing history for 260 KING STREET W, Brockville, Ontario, K6V3S1
Location & Neighborhood
🚗 Travel times
Neighborhood Walkability
Mortgage & Cost Calculators
Nearby Homes (Within 2km)
Similar Homes
Similar Properties
No rental comparables found in this area.
Sold Comparables
Access to sold property data requires a registered and verified account with TRREB DDF integration.
Coming SoonRented Comparables
Access to rented property data requires a registered and verified account with TRREB DDF integration.
Coming Soon

































