189 PILLSBURY DRIVE, Midland, Ontario, L4R0A3
MLS: S12711174 | Vacant Land
$1,475,000




Property Description
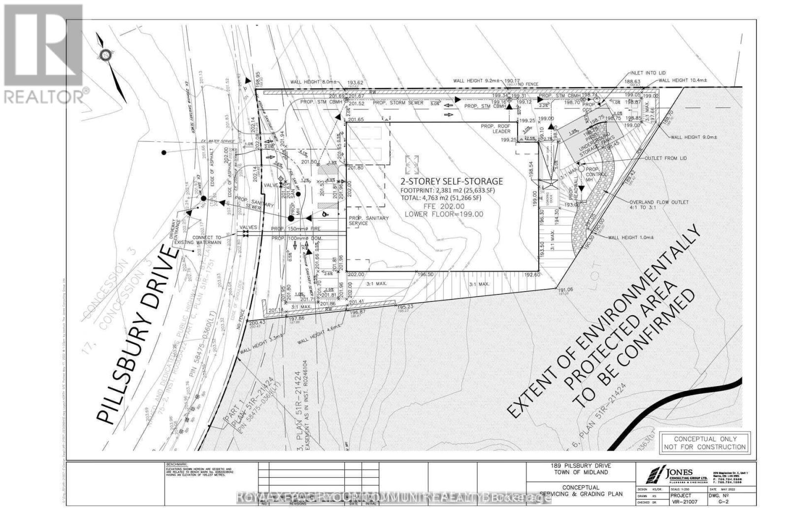
10.32 Acres Of Vacant Land With Close To 650 Feet Of Frontage On Highway 12. Proposed Development of 4 self-storage buildings; two single-storey, 10,118 sqft buildings, one two-storey, 21,000 sqft building and one three-storey 15,000 sqft building. Beautiful And Scenic Setting. Highway Commercial Zoning Allows For Many Uses Including Animal Hospital, Car Wash, Gas Bar, Auto Garage, Campground, Childcare Centre, Commercial Entertainment Establishment, Commercial School, Dry Cleaning, Fitness Centre, Funeral Home, Garden & Nursery, Motel & Hotel, Medical Use, Microbrewery, Pharmacy, Professional Office, Retail Store, Theater& More! (id:64974)
Quick Facts
- Property Type: Vacant Land
- Bedrooms: None
- Bathrooms: None
- Living Area: 10 sq ft (0.9 m²)
- Lot Size: 10.3200 acres (4.18 ha)
- Frontage: 450 ft (137.2 m)
Costs
- Annual Taxes: $21,866.93
Listing Provided by: REMAX YOUR COMMUNITY REALTY
Board: Toronto Regional Real Estate Board
Data provided via CREA DDF®.
Detailed Features
Interior & Systems
- Heating: Other
- Cooling: None
Exterior & Construction
- Water: Municipal water
Lot & Land
- Lot Size: 10.3200 acres (4.18 ha)
- Frontage: 450 ft (137.2 m)
- Zoning: Highway Commercial
Community & Neighbourhood
- Neighbourhood: Midland
Listing Information
Listing History
Buy/Sell/Terminated/Expired listing history for 189 PILLSBURY DRIVE, Midland, Ontario, L4R0A3
Location & Neighborhood
🚗 Travel times
Neighborhood Walkability
Mortgage & Cost Calculators
Nearby Homes (Within 2km)
Similar Homes
Similar Properties
No rental comparables found in this area.
Sold Comparables
Access to sold property data requires a registered and verified account with TRREB DDF integration.
Coming SoonRented Comparables
Access to rented property data requires a registered and verified account with TRREB DDF integration.
Coming Soon



























