V/L JEFFERSON (BTWN 1280&1290), Windsor, Ontario, N8S2R4
MLS: 26003885 | No Building (Freehold)
$179,900



Property Description
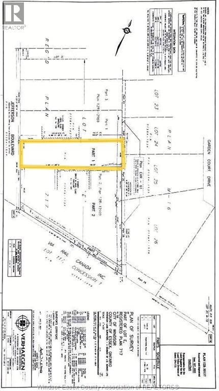
Attention Builders and Self Builders! A fantastic opportunity! This 42 x 163.22 ft extra deep building lot is in a great Riverside location and is ready to build. Close to all amenities, parks and walking distance to David Suzuki Public School and George P Vanier French Catholic School. Sewers at lot line. Buyer to verify all service locations and permit requirements. Call for more information. Survey & report to confirm sewers locates is available. (id:64974)
Quick Facts
- Property Type: No Building (Freehold)
- Bedrooms: None
- Bathrooms: None
- Ownership: Freehold
Listing Provided by: BOB PEDLER REAL ESTATE LIMITED
Board: Windsor-Essex County Association of REALTORS®
Data provided via CREA DDF®.
Detailed Features
Lot & Land
- Zoning: R1.16
Listing Information
Listing History
Buy/Sell/Terminated/Expired listing history for V/L JEFFERSON (BTWN 1280&1290), Windsor, Ontario, N8S2R4
Location & Neighborhood
🚗 Travel times
Neighborhood Walkability
Mortgage & Cost Calculators
Nearby Homes (Within 2km)
Similar Homes
Similar Properties
Sold Comparables
Access to sold property data requires a registered and verified account with TRREB DDF integration.
Coming SoonRented Comparables
Access to rented property data requires a registered and verified account with TRREB DDF integration.
Coming Soon



























