PTLOT10 CON 6 EHS, Mulmur, Ontario, L0N1M0
MLS: X12708296 | Vacant Land
$529,900











Property Description
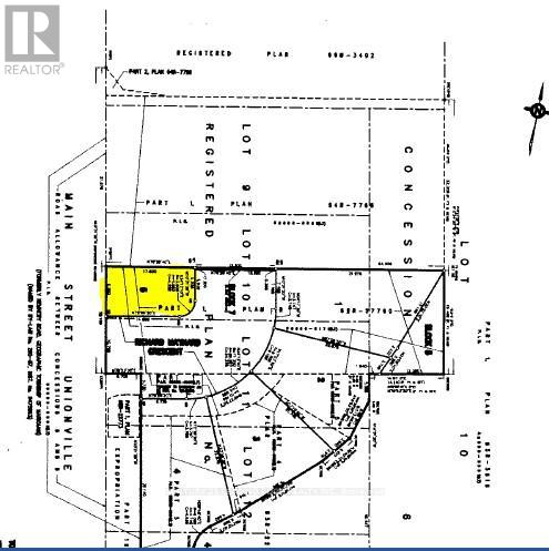
Excellent opportunity for 1.2 acre commercial lot fronting on County Road 17 in the hamlet of Mansfield. This lot is approximately 209 feet x 252 feet, fronting on the south side of paved road, directly west of busy intersection at Airport Road. The lot is level and open, with great access and visibility. Mansfield is an area of positive growth and future development - please see attached aerial view. Great access to major highways and the site is just 20 km to Alliston, 20 km to Shelburne, 44 km to Collingwood & 65 km to Brampton. **EXTRAS** The lot is zoned commercial - please see attached list of permitted uses from Township of Mulmur. Buyer to be responsible for HST and all development charges. (id:64974)
Quick Facts
- Property Type: Vacant Land
- Bedrooms: None
- Bathrooms: None
- Living Area: 1 sq ft (0.1 m²)
- Lot Size: 1.2000 acres (0.49 ha)
- Frontage: 64.5 m (212 ft)
Listing Provided by: ROYAL LEPAGE RCR REALTY
Board: Toronto Regional Real Estate Board
Data provided via CREA DDF®.
Detailed Features
Exterior & Construction
- Water: Municipal water
Lot & Land
- Lot Size: 1.2000 acres (0.49 ha)
- Frontage: 64.5 m (212 ft)
- Zoning: Commercial
Community & Neighbourhood
- Neighbourhood: Rural Mulmur
Listing Information
Listing History
Buy/Sell/Terminated/Expired listing history for PTLOT10 CON 6 EHS, Mulmur, Ontario, L0N1M0
Location & Neighborhood
🚗 Travel times
Neighborhood Walkability
Mortgage & Cost Calculators
Nearby Homes (Within 2km)
Similar Homes
Similar Properties
No rental comparables found in this area.
Sold Comparables
Access to sold property data requires a registered and verified account with TRREB DDF integration.
Coming SoonRented Comparables
Access to rented property data requires a registered and verified account with TRREB DDF integration.
Coming Soon

























