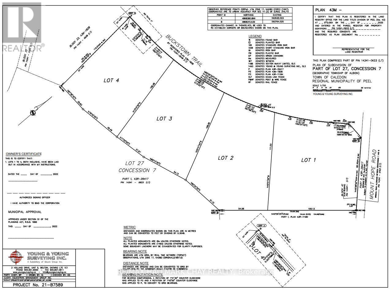
PART LOT 27, CONC 7, Caledon (Palgrave), Ontario, L7E0M1
MLS: W12594272 | Vacant Land
$3,800,000



Property Description
9.056 Acre corner lot abutting the Palgrave Equestrian Park. This parcel of land is in phase two of a development with an application submitted to subdivide into four lots. Services available at lot line include: gas, hydro and water. Purchaser to complete requirements for phase two subdivision agreement already underway. Reports available with offer. Seller will be proceeding with the application and will consider offers on a per lot basis conditional on registration. **EXTRAS** Buyer or Buyer Representative to do due diligence regarding any development/ HST/ re-zoning /servicing charges. (id:64974)
Quick Facts
- Property Type: Vacant Land
- Bedrooms: None
- Bathrooms: 0
- Frontage: 962 ft (293.2 m)
Costs
- Annual Taxes: $10,914.56
Listing Provided by: RE/MAX HALLMARK CHAY REALTY
Board: Toronto Regional Real Estate Board
Data provided via CREA DDF®.
Detailed Features
Interior & Systems
- Utilities: Electricity, Cable
Lot & Land
- Frontage: 962 ft (293.2 m)
- Features: Irregular lot size
Community & Neighbourhood
- Neighbourhood: Palgrave
Listing Information
Listing History
Buy/Sell/Terminated/Expired listing history for PART LOT 27, CONC 7, Caledon (Palgrave), Ontario, L7E0M1
Location & Neighborhood
🚗 Travel times
Neighborhood Walkability
Mortgage & Cost Calculators
Similar Homes
Similar Properties
No rental comparables found in this area.
Sold Comparables
Access to sold property data requires a registered and verified account with TRREB DDF integration.
Coming SoonRented Comparables
Access to rented property data requires a registered and verified account with TRREB DDF integration.
Coming Soon





















