LOT 16 ELIZABETH STREET, Southwold (Shedden), Ontario, N0L2E0
MLS: X12471309 | Vacant Land
$650,000



Property Description
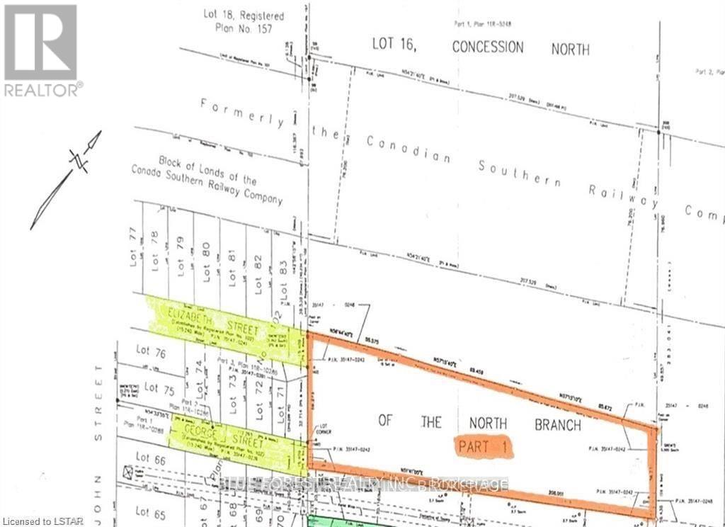
Located in the growing community of Shedden, this 2.5-acre property offers a prime opportunity for developers, home builders, or those looking to build their dream home. Southwould Township is actively promoting residential growth, driven by major industrial developments in nearby St. Thomas ie. Amazon and Battery Plant. Essential utilities, including water, hydro, and gas, are available, with sewer access expected within the next year (as per the Township). The land is currently zoned as Settlement Reserve, allowing for potential rezoning to suit development needs, such as residential use. Currently used for crops. Do not miss this excellent investment in a thriving area! (id:64974)
Quick Facts
- Property Type: Vacant Land
- Bedrooms: None
- Bathrooms: None
- Frontage: 192 ft (58.6 m)
Costs
- Annual Taxes: $1,320.00
Listing Provided by: BLUE FOREST REALTY INC.
Board: London and St. Thomas Association of REALTORS®
Data provided via CREA DDF®.
Detailed Features
Lot & Land
- Frontage: 192 ft (58.6 m)
- Zoning: SR
Community & Neighbourhood
- Neighbourhood: Shedden
Listing Information
Listing History
Buy/Sell/Terminated/Expired listing history for LOT 16 ELIZABETH STREET, Southwold (Shedden), Ontario, N0L2E0
Location & Neighborhood
🚗 Travel times
Neighborhood Walkability
Mortgage & Cost Calculators
Nearby Homes (Within 2km)
Similar Homes
Similar Properties
No rental comparables found in this area.
Sold Comparables
Access to sold property data requires a registered and verified account with TRREB DDF integration.
Coming SoonRented Comparables
Access to rented property data requires a registered and verified account with TRREB DDF integration.
Coming Soon



















