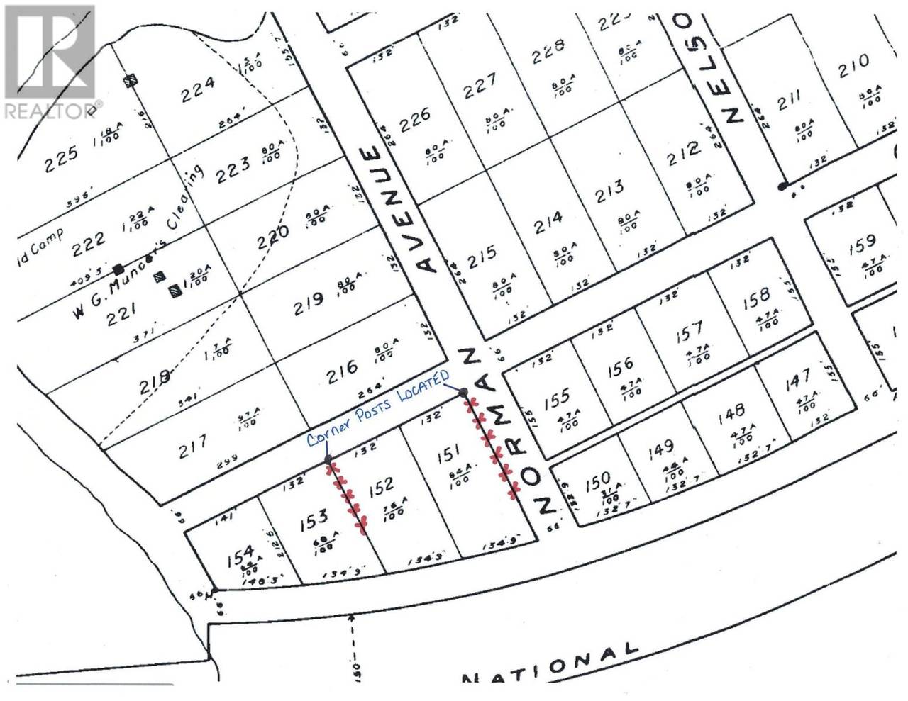
Lot 152 Plan M222, Minaki, Ontario, P0X1J0
MLS: TB250065 | Vacant Land
$20,000




































Property Description
Vacant treed lot on titled land located in the Minaki townsite. Suitable for a camper or RV. .76 of an acre with 134' south facing frontage. There are marinas for boat docking, a convenience store, Community Centre and a seasonal restaurant. The road is not currently developed right to this site and therefore further development will be required for access. Hydro is available nearby. There is no time line for development. This area is unorganized and taxes are currently $116.00 annually. 13% HST and Ontario Land Transfer tax ($100.00 based on $20k)) applies to the purchase price. (id:64974)
Quick Facts
- Property Type: Vacant Land
- Bedrooms: None
- Bathrooms: None
- Frontage: 134 ft (40.8 m)
Costs
- Annual Taxes: $116.00
Listing Provided by: RE/MAX FIRST CHOICE REALTY LTD.
Board: Thunder Bay Real Estate Board
Data provided via CREA DDF®.
Detailed Features
Lot & Land
- Frontage: 134 ft (40.8 m)
Community & Neighbourhood
- Neighbourhood: Minaki
Listing Information
Listing History
Buy/Sell/Terminated/Expired listing history for Lot 152 Plan M222, Minaki, Ontario, P0X1J0
Location & Neighborhood
🚗 Travel times
Neighborhood Walkability
Mortgage & Cost Calculators
Nearby Homes (Within 2km)
Similar Homes
Similar Properties
Sold Comparables
Access to sold property data requires a registered and verified account with TRREB DDF integration.
Coming SoonRented Comparables
Access to rented property data requires a registered and verified account with TRREB DDF integration.
Coming Soon







