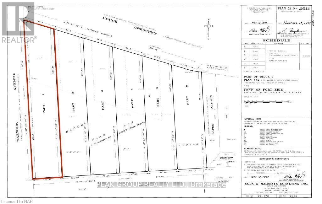
LOT 1 HOUCK CRESCENT, Fort Erie (Bowen), Ontario, L2A5M4
MLS: X12992072 | Vacant Land
$399,999







Property Description
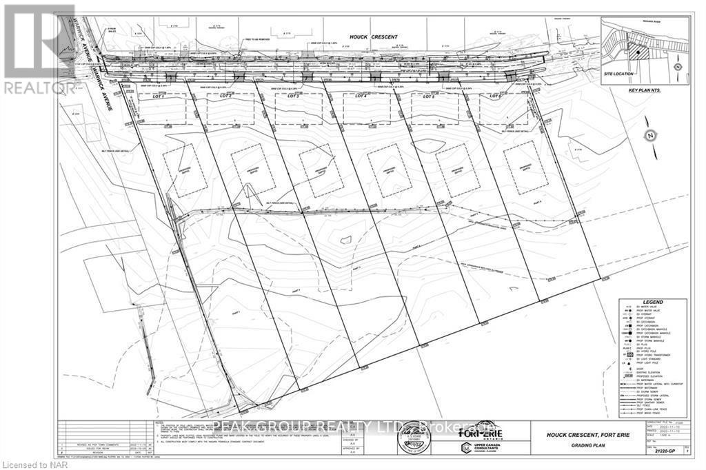
Introducing Houck Crescent, where your dream home becomes a reality. This exclusive crescent offers the perfect blend of privacy and convenience, just steps from the renowned Niagara River Parkway. Enjoy a tranquil setting with breathtaking surroundings, all while experiencing the benefits of parkway living at a fraction of the cost. Houck Crescent presents a rare opportunity to design and build a custom home tailored entirely to your vision.The expansive 2-acre lots provide ample space, whether you're envisioning a modern masterpiece, a charming cottage-style home, or a luxurious retreat. Added convenience comes with municipal water available to the properties, along with the added privacy of no rear neighbours. Surrounded by nature, the area features an abundance of walking trails, perfect for peaceful strolls. For boating enthusiasts, a nearby marina offers easy access to the water with upcoming updates and improvements. Nearby highway access adds another layer of ease for commuting and travel.To make the process even more seamless, we can connect you with a trusted builder to bring your vision to life on these exceptional lots. Don't miss this rare opportunity to enjoy serene, parkway-style living while creating a home that's uniquely yours. (id:64974)
Quick Facts
- Property Type: Vacant Land
- Bedrooms: None
- Bathrooms: 0
- Frontage: 145 ft (44.2 m)
Listing Provided by: PEAK GROUP REALTY LTD.
Board: Niagara Association of REALTORS®
Data provided via CREA DDF®.
Detailed Features
Interior & Systems
- Heating: Not known, Unknown
- Cooling: Unknown
- Basement: Unknown, Unknown, Unknown
- Utilities: Electricity, Cable
Exterior & Construction
- Water: Municipal water
Lot & Land
- Frontage: 145 ft (44.2 m)
- Zoning: RR/EP
Community & Neighbourhood
- Neighbourhood: 331 - Bowen
Listing Information
Listing History
MLS listing activity for LOT 1 HOUCK CRESCENT, Fort Erie (Bowen), Ontario, L2A5M4 — dates reflect when changes were recorded in the DDF
🚗 Travel times
Neighborhood Walkability
Mortgage & Cost Calculators
Nearby Homes ?Nearby Homes — Search CriteriaSearch Radius1 kmPrice Range±5%Match BedroomsYesMatch BathroomsYes
Similar Homes ?Similar Homes — Search CriteriaSearch Radius5 kmPrice Range±5%Match Home TypeYesMatch BedroomsYes

0 COUNTY ROAD 16 ROAD, Stone Mills (Stone Mills)
Vacant Land$399,999
$1,200/yr taxListing Courtesy of KELLER WILLIAMS EDGE REALTY

0 COUNTY ROAD 16, Stone Mills
Vacant Land$399,999
$1,200/yr taxListing Courtesy of Keller Williams Edge Realty

19 STURGEON BAY ROAD, Severn (Coldwater)
Vacant Land$399,999
$3,400/yr taxListing Courtesy of FARIS TEAM REAL ESTATE BROKERAGE

5409 WELLINGTON 52 ROAD, Erin
Vacant Land$400,000
$1,089/yr taxListing Courtesy of Real Broker Ontario Ltd.

LT 27 PTS 2&3 COUNTY ROAD 10, Prince Edward County (South Marysburg Ward)
Vacant Land$400,000
$1,607/yr taxListing Courtesy of ROYAL LEPAGE REAL ESTATE SERVICES LTD.

V/L BETTS AVENUE, Windsor
No Building$399,990
Listing Courtesy of DEERBROOK REALTY INC.

11 TEETER Place Unit# Lot 3, Grimsby
Vacant Land$399,900
$2,448/yr taxListing Courtesy of RE/MAX Escarpment Realty Inc.

6 SHORE ROAD, Saugeen Shores
Vacant Land$399,900
Listing Courtesy of RE/MAX Land Exchange Ltd.

LT 4 GLENN HOWARD COURT, Tiny
Vacant Land$399,900
$495/yr taxListing Courtesy of FARIS TEAM REAL ESTATE BROKERAGE

27-29 BRISSON STREET, The Nation
Vacant Land$399,900
Listing Courtesy of EXP REALTY

0 3RD LINE, Melancthon
Vacant Land$399,900
$977/yr taxListing Courtesy of RE/MAX REAL ESTATE CENTRE INC.

15 TEETER Place Unit# Lot 5, Grimsby
Vacant Land$399,900
$2,500/yr taxListing Courtesy of RE/MAX Escarpment Realty Inc.

21 DAVID DRIVE, Kawartha Lakes (Lindsay)
Vacant Land$399,900
Listing Courtesy of AFFINITY GROUP PINNACLE REALTY LTD.

13 TEETER Place Unit# Lot 4, Grimsby
Vacant Land$399,900
$2,448/yr taxListing Courtesy of RE/MAX Escarpment Realty Inc.

2 SHORE ROAD, Saugeen Shores
Vacant Land$399,900
Listing Courtesy of RE/MAX Land Exchange Ltd.
Similar Properties ?Active Comparables — Search CriteriaSearch Radius2 kmPrice Range±5%Match Home TypeYesMatch BedroomsYes
No active comparables found in this area.
No rental comparables found in this area.
Sold Comparables
Access to sold property data requires a registered and verified account with TRREB DDF integration.
Coming SoonRented Comparables
Access to rented property data requires a registered and verified account with TRREB DDF integration.
Coming SoonBook a Viewing
LOT 1 HOUCK CRESCENT, Fort Erie (Bowen), Ontario, L2A5M4


