CAR LOT/OFFICE - 535 BAYFIELD STREET, Barrie (Bayfield), Ontario, L4M4Z9
MLS: S11959498 | Retail
Contact for Price



Property Description
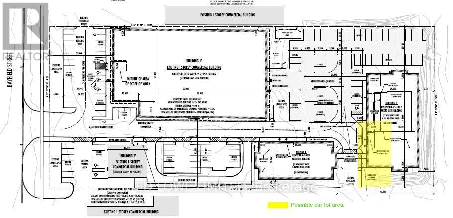
300 s.f. Space available for small office for car dealer or car rental business in the building at 535 Bayfield Street plus reserved parking area at the back of the building for cars - ideal for car rental or new or used car sales office and parking. (id:65010)
Quick Facts
- Property Type: Retail
- Bedrooms: None
- Bathrooms: None
Listing Provided by: CREA DDF® Member Brokerage
Data provided via CREA DDF®.
Detailed Features
Listing Information
Location & Neighborhood
📍
🚗 Travel times
Neighborhood Walkability
Mortgage & Cost Calculators
Similar Properties
Active Comparables
Rent Comparables
Sold Comparables
Rented Comparables
No active comparables found in this area.
Sold Comparables
Access to sold property data requires a registered and verified account with TRREB DDF integration.
Coming SoonRented Comparables
Access to rented property data requires a registered and verified account with TRREB DDF integration.
Coming Soon














