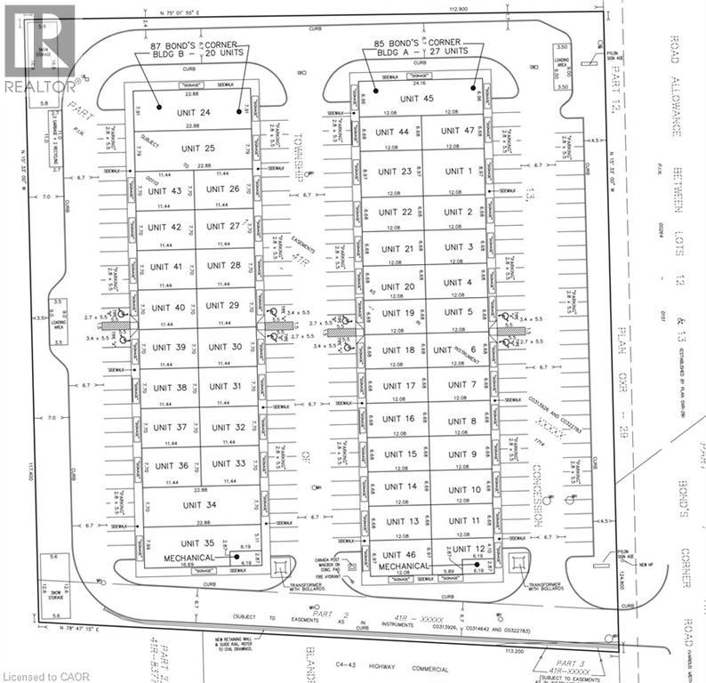
85 BONDS CORNER Unit# 7, Woodstock, Ontario, N4S7V9
MLS: 40799375 | Retail
$525,900







Property Description
Welcome to Bonds Corner Plaza, ideally located in Woodstock directly across from Toyota. This stunning pre-construction commercial unit is scheduled for completion by April 30, 2026. Whether you are looking to open your own business or add a strong asset to your investment portfolio, this unit offers excellent potential with solid rental demand in the area. Featuring a prime high-traffic location and convenient access to Highway 401, nearby subdivisions, industrial facilities, and major employment hubs, this is an exceptional opportunity you won’t want to miss. (id:64974)
Quick Facts
- Property Type: Retail
- Bedrooms: None
- Bathrooms: None
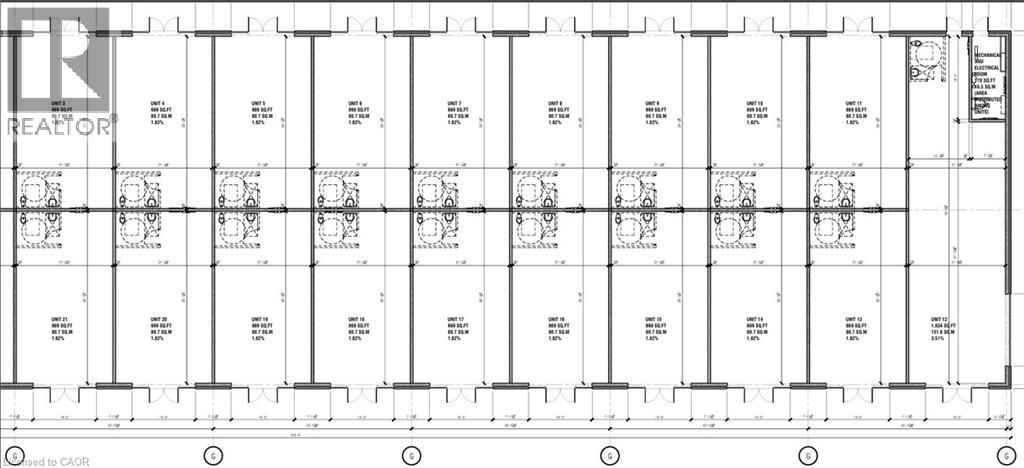
- Living Area: 869 sq ft (80.7 m²)
- Year Built: 2026
- Ownership: Condo/Strata
Listing Provided by: HOMELIFE MIRACLE REALTY MISSISSAUGA
Board: Cornerstone Association of REALTORS®
Data provided via CREA DDF®.
Detailed Features
Interior & Systems
- Basement: None
Exterior & Construction
- Sewer: Municipal sewage system
- Water: Municipal water
Lot & Land
- Features: Visual exposure
- Zoning: C4
Community & Neighbourhood
- Community: High Traffic Area, Industrial Park
- Subdivision: Woodstock - North
Listing Information
Listing History
Buy/Sell/Terminated/Expired listing history for 85 BONDS CORNER Unit# 7, Woodstock, Ontario, N4S7V9
Location & Neighborhood
🚗 Travel times
Neighborhood Walkability
Mortgage & Cost Calculators
Nearby Homes (Within 2km)
Similar Homes
Similar Properties
No rental comparables found in this area.
Sold Comparables
Access to sold property data requires a registered and verified account with TRREB DDF integration.
Coming SoonRented Comparables
Access to rented property data requires a registered and verified account with TRREB DDF integration.
Coming Soon



















