8478 GILMOUR ROAD, Port Hope, Ontario, L0A1B0
MLS: X12904008 | Vacant Land
$750,000



Property Description
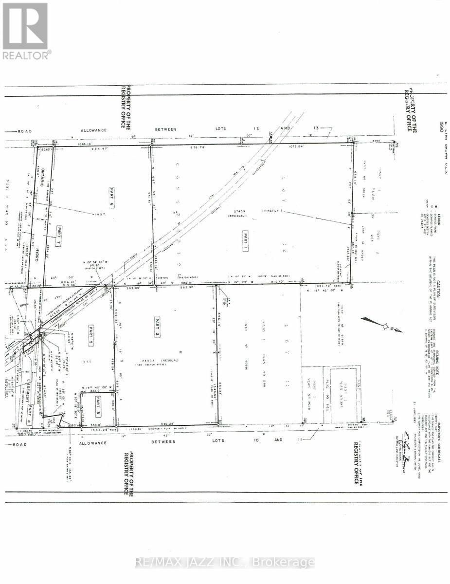
Exceptional 90-acre property offering a rare combination of workable land and mature hardwood bush. Approximately 56 acres are currently workable, with the balance in hardwood forest providing privacy, natural beauty, and recreational opportunities. Featuring approximately 980 feet of road frontage and a barn on the property, this parcel is well suited for hobby farming or investment. Ideally located close to Ganaraska Forest, offering miles of trails for hiking, horseback riding, mountain biking, and snowmobiling. Also just minutes to Rice Lake for boating and fishing, and Brimacombe Ski Hill for winter activities. Convenient access to Highways 407, 115, and 401 makes commuting easy while still enjoying a peaceful rural setting. A versatile property with excellent potential for agricultural use, recreation, or long-term investment. (id:64974)
Quick Facts
- Property Type: Vacant Land
- Bedrooms: None
- Bathrooms: 0
- Frontage: 980 ft (298.7 m)
Costs
- Annual Taxes: $6,876.00 (2025)
Listing Provided by: RE/MAX JAZZ INC.
Board: Central Lakes Association of REALTORS®
Data provided via CREA DDF®.
Detailed Features
Lot & Land
- Frontage: 980 ft (298.7 m)
Community & Neighbourhood
- Neighbourhood: Rural Port Hope
Listing Information
Listing History
MLS listing activity for 8478 GILMOUR ROAD, Port Hope, Ontario, L0A1B0 — dates reflect when changes were recorded in the DDF
🚗 Travel times
Neighborhood Walkability
Mortgage & Cost Calculators
Similar Homes ?Similar Homes — Search CriteriaSearch Radius5 kmPrice Range±5%Match Home TypeYesMatch BedroomsYes

0 COUNTY ROAD 46, Brockville
Vacant Land$750,000
$3,639/yr taxListing Courtesy of RE/MAX RISE EXECUTIVES

155 & 157 ARDAGH ROAD, Barrie (Ardagh)
Vacant Land$750,000
$3,134/yr taxListing Courtesy of CENTURY 21 HERITAGE GROUP LTD.

100 ROAD 6 West, Kingsville
No Building$750,000
Listing Courtesy of DEERBROOK REALTY INC.

938 GARRISON ROAD, Fort Erie (Crescent Park)
Vacant Land$750,000
$2,219/yr taxListing Courtesy of Century 21 Heritage House LTD

12 - 92 LORETTA DRIVE, Niagara-on-the-Lake (Virgil)
Condo$750,000
$4,004/yr taxListing Courtesy of ROYAL LEPAGE NRC REALTY

504 BIGWIN ISLAND, Lake of Bays (Franklin)
Vacant Land$749,999
$1,900/yr taxListing Courtesy of Re/Max All-Stars Realty Inc

1 - 1617 SHORE ROAD, London South (South A)
Condo$749,900
$5,851/yr taxListing Courtesy of SUTTON GROUP PREFERRED REALTY INC.

4026 HIGHWAY 12, Ramara
Vacant Land$749,900
$1,369/yr taxListing Courtesy of AFFINITY GROUP PINNACLE REALTY LTD.

3005 CONCESSION 4 ROAD, Adjala-Tosorontio (Loretto)
Vacant Land$749,900
$2,427/yr taxListing Courtesy of RE/MAX HALLMARK CHAY REALTY

00 DUNN STREET, Mississippi Mills
Vacant Land$749,900
$500/yr taxListing Courtesy of EXP REALTY

892 Wyandotte STREET East, Windsor
Vacant Land$749,900
Listing Courtesy of JUMP REALTY INC.

627383 15 SIDE ROAD, Mulmur
Vacant Land$749,900
$2,135/yr taxListing Courtesy of Century 21 Millennium Inc.

28099 HIGHWAY 48, Georgina (Baldwin)
Vacant Land$749,000
$4,755/yr taxListing Courtesy of RE/MAX ALL-STARS REALTY INC.

35 QUEEN STREET N, New Tecumseth (Tottenham)
Vacant Land$749,000
$4,014/yr taxListing Courtesy of RE/MAX GOLD REALTY INC.

545 Algoma ST, Thunder Bay
Vacant Land$749,000
Listing Courtesy of RE/MAX FIRST CHOICE REALTY LTD.
Similar Properties ?Active Comparables — Search CriteriaSearch Radius2 kmPrice Range±5%Match Home TypeYesMatch BedroomsYes
No active comparables found in this area.
No rental comparables found in this area.
Sold Comparables
Access to sold property data requires a registered and verified account with TRREB DDF integration.
Coming SoonRented Comparables
Access to rented property data requires a registered and verified account with TRREB DDF integration.
Coming SoonBook a Viewing
8478 GILMOUR ROAD, Port Hope, Ontario, L0A1B0
