624-LT1 DAYTONA DRIVE, Fort Erie (Crescent Park), Ontario, L2A4Z4
MLS: X12588562 | Vacant Land
$290,000









Property Description
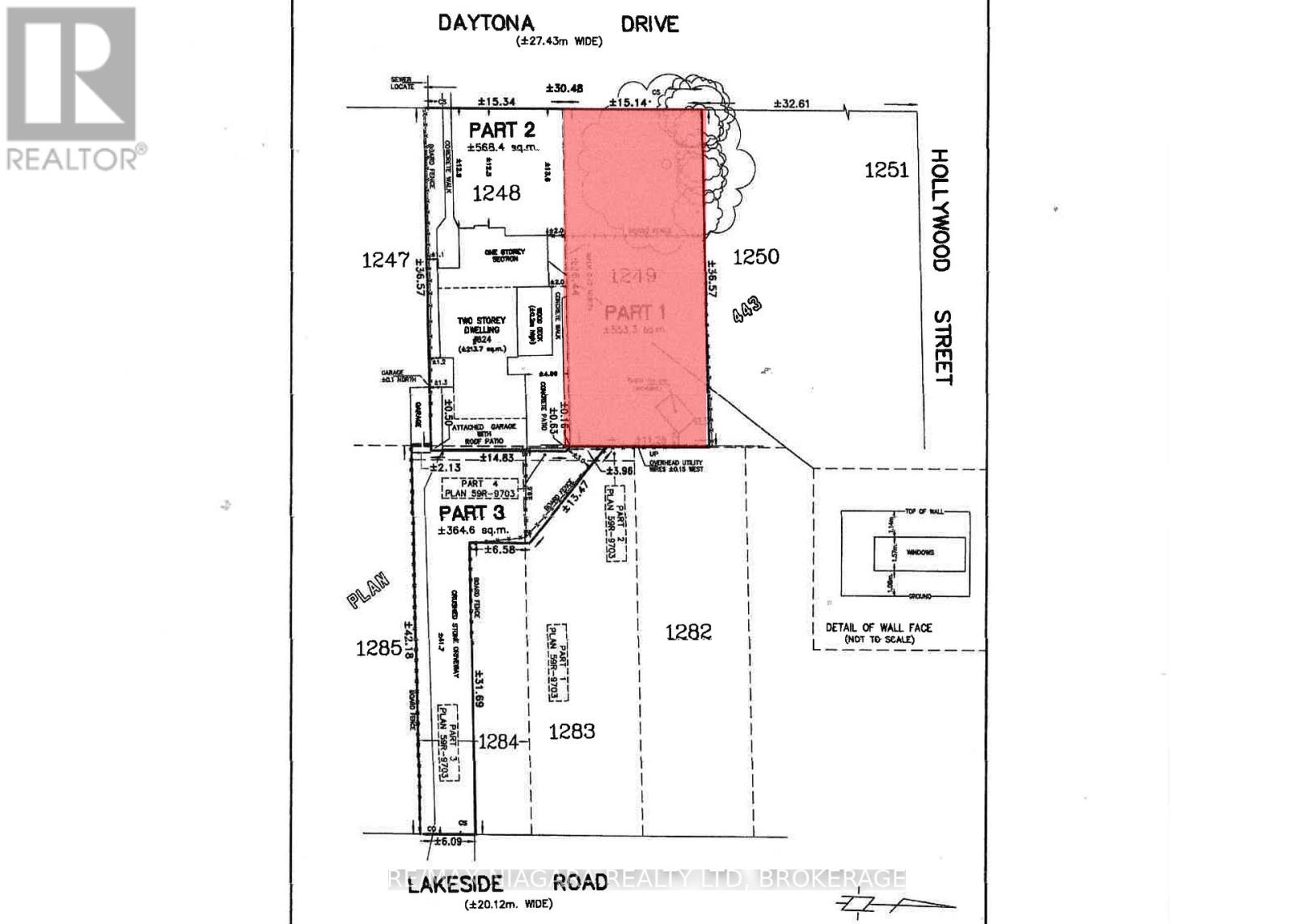
50'x120' Building lot in the heart of Crescent Park in Fort Erie. Driveway access from Lakeside Rd right-of-way easement - Part 3 on Severance Sketch. Located within walking distance are two elementary schools, a high school, the Leisureplex arenas and community center, Ferndale Park with a splash pad and soccer fields and the shores of Lake Erie. There are plenty of stores, restaurants and amenities along Garrison Rd / Hwy #3 as well as access to the QEW highway to Niagara Falls, Toronto and the Peace Bridge to USA. (id:64974)
Quick Facts
- Property Type: Vacant Land
- Bedrooms: None
- Bathrooms: 0
- Frontage: 50 ft (15.1 m)
Costs
- Annual Taxes: $1.00
Listing Provided by: RE/MAX NIAGARA REALTY LTD, BROKERAGE
Board: Niagara Association of REALTORS®
Data provided via CREA DDF®.
Detailed Features
Interior & Systems
- Utilities: Sewer, Electricity, Cable
Exterior & Construction
- Fencing: Partially fenced
- Water: Municipal water
Lot & Land
- Frontage: 50 ft (15.1 m)
- Zoning: R1
Community & Neighbourhood
- Community: School Bus, Community Centre
- Neighbourhood: 334 - Crescent Park
Listing Information
Listing History
Buy/Sell/Terminated/Expired listing history for 624-LT1 DAYTONA DRIVE, Fort Erie (Crescent Park), Ontario, L2A4Z4
Location & Neighborhood
🚗 Travel times
Neighborhood Walkability
Mortgage & Cost Calculators
Nearby Homes (Within 2km)
Similar Homes
Similar Properties
No rental comparables found in this area.
Sold Comparables
Access to sold property data requires a registered and verified account with TRREB DDF integration.
Coming SoonRented Comparables
Access to rented property data requires a registered and verified account with TRREB DDF integration.
Coming Soon
























