57 Fraser Avenue, Onaping, Ontario, P0M2R0
MLS: 2126717 | Vacant Land
$275,000


Property Description
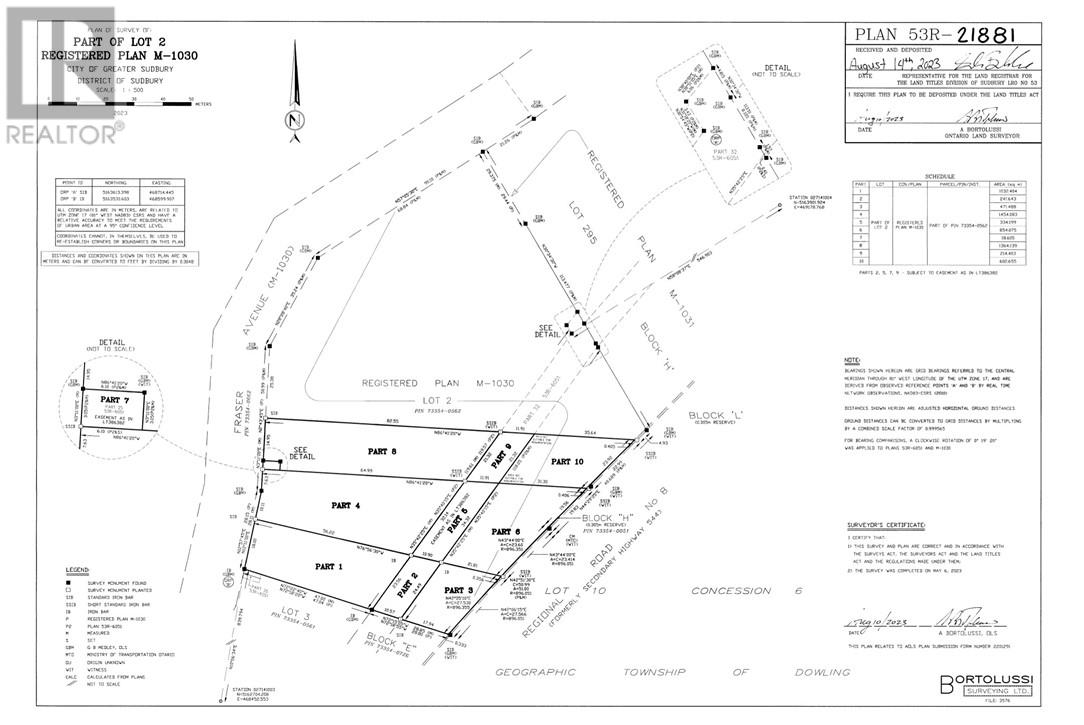
Investment meets ease in the quiet community of Onaping. Situated just 35-minutes from Sudbury, this 3.5 acre parcel is the perfect project for developers, builders, or savvy investors looking to capitalize on Northern Ontario's housing demand. The work involved in subdividing and zoning is already done. Currently held as a single parcel until severance is registered with the city, it offers the unique flexibility to either follow the existing plan or pivot to a strategic layout as per the current completed survey. Lots 1-3 each features approximately 60’ frontage with expansive depths of 245’ to 300’ plus. (see survey) Lot 4 being the balance of the acreage, boasting 424’ of frontage on Fraser Avenue. (see survey) A strategic buyer may also benefit from significant HST savings by choosing to register the final splits themselves. The R2-2 zoning versatility currently permits Single Family, Duplex, and Semi-Detached builds, with high potential for a Multi-Family development. Municipal water and sewer are located on Fraser Ave. ""The Buyer is responsible for verifying all the information from an independent source"" (id:64974)
Quick Facts
- Property Type: Vacant Land
- Bedrooms: None
- Bathrooms: None
- Ownership: Freehold
Listing Provided by: ROYAL LEPAGE NORTH HERITAGE REALTY, BROKERAGE
Board: Sudbury Real Estate Board
Data provided via CREA DDF®.
Detailed Features
Exterior & Construction
- Sewer: Municipal sewage system
- Water: Municipal water
- Road Surface: Paved road
Lot & Land
- Zoning: R2-2
Listing Information
Listing History
Buy/Sell/Terminated/Expired listing history for 57 Fraser Avenue, Onaping, Ontario, P0M2R0
Location & Neighborhood
🚗 Travel times
Neighborhood Walkability
Mortgage & Cost Calculators
Nearby Homes (Within 2km)
Similar Homes
Similar Properties
No rental comparables found in this area.
Sold Comparables
Access to sold property data requires a registered and verified account with TRREB DDF integration.
Coming SoonRented Comparables
Access to rented property data requires a registered and verified account with TRREB DDF integration.
Coming Soon















