4550 NORTH TALBOT ROAD, Tecumseh, Ontario, N0R1L0
MLS: 26002886 | Vacant Land
$2,500,000


Property Description
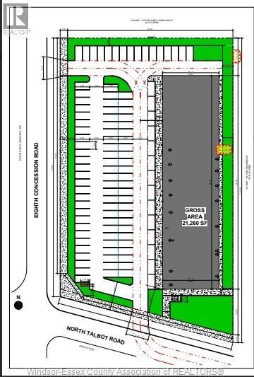
LOCATION, LOCATION, LOCATION! FANTASTIC COMMERCIAL PROPERTY FOR SALE, WITH COMPLETE DRAWINGS. ALMOST 2 ACRES OF COMMERCIAL SPACE ON THE CORNER OF TECUMSEH'S NEWEST UPCOMING AREAS. LOCATED ON THE CORNER OF NORTH TALBOT AND 8 CONCESSION, MINUTES TO COSTCO, 401 AND HIGHWAY 3, MAKES IT EASY FOR ACCESS FOR ANY TYPE OF BUSINESS. C1-9 ZONING, USES IN ATTACHEMNTS, ALLOWING FOR RETAURANTS, PLAZA, DAYCARE, OFFICE SPACE, CLINICS ETC. EMAIL L/S FOR MORE INFO! (id:64974)
Quick Facts
- Property Type: Vacant Land
- Bedrooms: None
- Bathrooms: None
- Ownership: Freehold
Listing Provided by: REMAX PREFERRED REALTY LTD. - 584
Board: Windsor-Essex County Association of REALTORS®
Data provided via CREA DDF®.
Detailed Features
Lot & Land
- Zoning: COMM
Listing Information
Listing History
Buy/Sell/Terminated/Expired listing history for 4550 NORTH TALBOT ROAD, Tecumseh, Ontario, N0R1L0
Location & Neighborhood
🚗 Travel times
Neighborhood Walkability
Mortgage & Cost Calculators
Nearby Homes (Within 2km)
Similar Homes
Similar Properties
No rental comparables found in this area.
Sold Comparables
Access to sold property data requires a registered and verified account with TRREB DDF integration.
Coming SoonRented Comparables
Access to rented property data requires a registered and verified account with TRREB DDF integration.
Coming Soon




















