255-261 GAMBLE AVENUE, Toronto (East York), Ontario, M4J2P4
MLS: E12602622 | Vacant Land
$4,999,900



Property Description
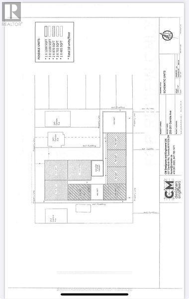
This Property is being sold as land value. This is an assembly of 255, 257, 259 and 261. The site is proposed to be able to create a 60-70 unit building all depending on the size of the units. There are tenants dwelling the properties. Inspection of the homes will be possible upon a conditional offer. (id:64974)
Quick Facts
- Property Type: Vacant Land
- Bedrooms: None
- Bathrooms: None
Costs
- Annual Taxes: $19,229.00
Listing Provided by: RE/MAX CROSSROADS REALTY INC.
Board: Toronto Regional Real Estate Board
Data provided via CREA DDF®.
Detailed Features
Interior & Systems
- Heating: No heat
- Cooling: None
Exterior & Construction
- Water: Municipal water
Lot & Land
- Zoning: RD (f6;a185;d075)
Community & Neighbourhood
- Neighbourhood: East York
Listing Information
Listing History
Buy/Sell/Terminated/Expired listing history for 255-261 GAMBLE AVENUE, Toronto (East York), Ontario, M4J2P4
Location & Neighborhood
🚗 Travel times
Neighborhood Walkability
Mortgage & Cost Calculators
Nearby Homes (Within 2km)
Similar Homes
Similar Properties
No rental comparables found in this area.
Sold Comparables
Access to sold property data requires a registered and verified account with TRREB DDF integration.
Coming SoonRented Comparables
Access to rented property data requires a registered and verified account with TRREB DDF integration.
Coming Soon




























