0 PILGERS ROAD, Nipissing, Ontario, P0H1J0
MLS: X12296408 | Vacant Land
$134,900













Property Description
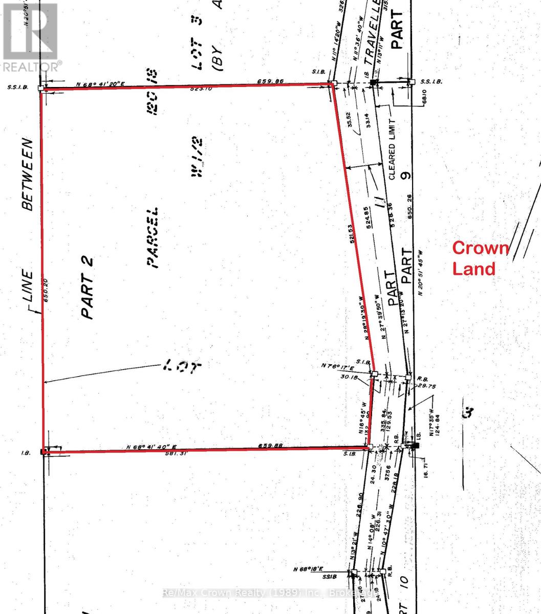
Discover the perfect blend of privacy and natural beauty witht his mostly level building Lot. A driveway is already in place, along with a dug well and a cleared building site, making it ideal for your dream home or a peaceful camping getaway. Nestled on a quiet country road, this serene property is surrounded by mature trees and abundant wildlife. Hydro is close by for added convenience. Don't miss this opportunity to own a slice of nature's paradise. Only 35 minutes to North Bay or 3 hours from the GTA! (id:64974)
Quick Facts
- Property Type: Vacant Land
- Bedrooms: None
- Bathrooms: 0
- Frontage: 655 ft (199.5 m)
Costs
- Annual Taxes: $212.32
Listing Provided by: Re/Max Crown Realty (1989) Inc.
Board: OnePoint Association of REALTORS®
Data provided via CREA DDF®.
Detailed Features
Interior & Systems
- Utilities: Electricity
Lot & Land
- Frontage: 655 ft (199.5 m)
Community & Neighbourhood
- Neighbourhood: Nipissing
Listing Information
Listing History
Buy/Sell/Terminated/Expired listing history for 0 PILGERS ROAD, Nipissing, Ontario, P0H1J0
Location & Neighborhood
🚗 Travel times
Neighborhood Walkability
Mortgage & Cost Calculators
Nearby Homes (Within 2km)
Similar Homes
Similar Properties
No rental comparables found in this area.
Sold Comparables
Access to sold property data requires a registered and verified account with TRREB DDF integration.
Coming SoonRented Comparables
Access to rented property data requires a registered and verified account with TRREB DDF integration.
Coming Soon










