0 Arnold Street, Sudbury, Ontario, P3E2N7
MLS: 2123089 | Vacant Land
$999,000











Property Description
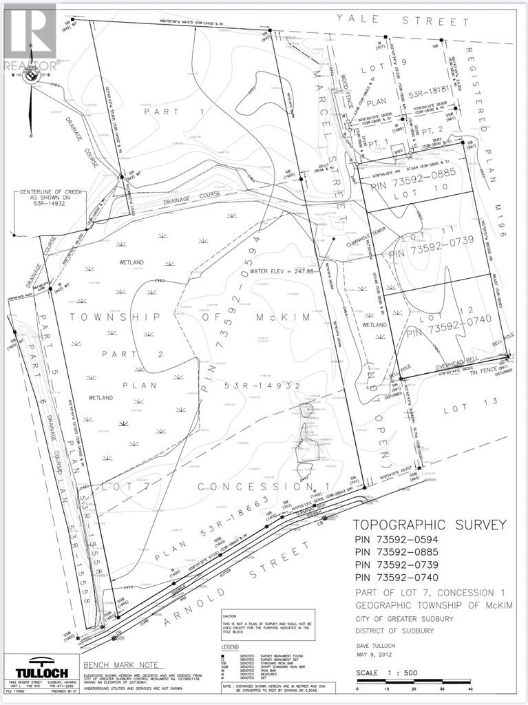
Residential Development Opportunity in the South End. Over 4 acres of environmentally approved land located at Arnold Street and Marcel Street. Ideal for builders or investors seeking a prime residential site in an established neighbourhood. 2 build sites including Arnold Street with 5 possible single family lots and a larger section at Yale & Marcel suitable for potential income property or single family home. The property comes complete with engineering recommendations for slab-on-grade construction using lightweight EPS raft foundation systems. Engineered solutions are in place to address frost protection, drainage, and long-term settlement. An Endangered Species Act permit has been issued, with all necessary environmental safeguards and mitigation measures approved to protect local habitat. (id:64974)
Quick Facts
- Property Type: Vacant Land
- Bedrooms: None
- Bathrooms: None
- Ownership: Freehold
Listing Provided by: JOHN E. SMITH REALTY SUDBURY LIMITED, BROKERAGE
Board: Sudbury Real Estate Board
Data provided via CREA DDF®.
Detailed Features
Exterior & Construction
- Water: None
Lot & Land
- Zoning: R1-5
Listing Information
Listing History
Buy/Sell/Terminated/Expired listing history for 0 Arnold Street, Sudbury, Ontario, P3E2N7
Location & Neighborhood
🚗 Travel times
Neighborhood Walkability
Mortgage & Cost Calculators
Nearby Homes (Within 2km)
Similar Homes
Similar Properties
No rental comparables found in this area.
Sold Comparables
Access to sold property data requires a registered and verified account with TRREB DDF integration.
Coming SoonRented Comparables
Access to rented property data requires a registered and verified account with TRREB DDF integration.
Coming Soon



















