0-4496 DOMINION ROAD, Fort Erie (Crescent Park), Ontario, L2A1H3
MLS: X12912650 | Vacant Land
$1,500,000





Property Description
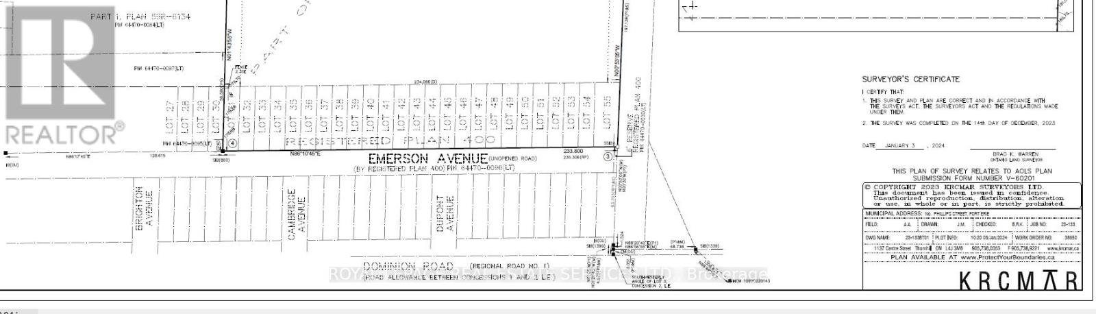
Two Parcel of Vacant Land, Walking Distance to the Crescent Beach, Conceptual plan showing 24 single lots(previously registred) on Emerson & Townhouses on the Dominion Road site, Buyer to do their own due diligence, the lots on Emerson are on the survey and legal description, the area is walking distance to the beach, services are available nearby to be extended to the property, Property is 6km from the Peace Bridge and entry into the United States,and only 4km from Queen Elizabeth Way. The surrounding community is primarily residential, with neighbourhoodbusinesses and some institutional uses (schools, sports centres). The site has high visibility from Dominion Road, waterfront areas. 5-minute drive from Walmart, Starbucks, Sobeys, LCBO. Fort Erie is projecting growth to 48,050 residents and 18,430 jobs by theyear 2051, needing to accommodate 15,230 new residents. (id:64974)
Quick Facts
- Property Type: Vacant Land
- Bedrooms: None
- Bathrooms: None
- Living Area: 3 sq ft (0.3 m²)
- Lot Size: 3.3000 acres (1.34 ha)
- Frontage: 769 ft (234.4 m)
Costs
- Annual Taxes: $2,165.00
Listing Provided by: ROYAL LEPAGE REAL ESTATE SERVICES LTD.
Board: Toronto Regional Real Estate Board
Data provided via CREA DDF®.
Detailed Features
Exterior & Construction
- Water: Municipal water
Lot & Land
- Lot Size: 3.3000 acres (1.34 ha)
- Frontage: 769 ft (234.4 m)
- Zoning: R2 & EP
Community & Neighbourhood
- Neighbourhood: 334 - Crescent Park
Listing Information
Listing History
MLS listing activity for 0-4496 DOMINION ROAD, Fort Erie (Crescent Park), Ontario, L2A1H3 — dates reflect when changes were recorded in the DDF
🚗 Travel times
Neighborhood Walkability
Mortgage & Cost Calculators
Nearby Homes ?Nearby Homes — Search CriteriaSearch Radius1 kmPrice Range±5%Match BedroomsYesMatch BathroomsYes

1395 KAM ROAD, Fort Erie (Crescent Park)
Vacant Land$998,000
$6,765/yr taxListing Courtesy of ORION REALTY CORPORATION

624-LT1 DAYTONA DRIVE, Fort Erie (Crescent Park)
Vacant Land$290,000
$1/yr taxListing Courtesy of RE/MAX NIAGARA REALTY LTD, BROKERAGE
Similar Homes ?Similar Homes — Search CriteriaSearch Radius5 kmPrice Range±5%Match Home TypeYesMatch BedroomsYes

2231 GARRISON ROAD, Fort Erie (Crescent Park)
Vacant Land$1,500,000
$4,201/yr taxListing Courtesy of Century 21 Heritage House LTD

0 HERITAGE LINE, Otonabee-South Monaghan
Vacant Land$1,500,000
$1,848/yr taxListing Courtesy of THE NOOK REALTY INC.

0 HERITAGE LINE, Otonabee-South Monaghan
Vacant Land$1,500,000
$1,848/yr taxListing Courtesy of THE NOOK REALTY INC.

15 PARK STREET W, Cramahe (Colborne)
Vacant Land$1,500,000
$1,100/yr taxListing Courtesy of MICHAL HASEK REAL ESTATE LTD.

633 Point Pelee DRIVE, Leamington
Vacant Land$1,500,000
Listing Courtesy of CENTURY 21 LOCAL HOME TEAM REALTY INC.

22 WALKER Street, Port Dover
Vacant Land$1,500,000
$13,080/yr taxListing Courtesy of RE/MAX Erie Shores Realty Inc. Brokerage

0 EAST Street, Simcoe
Vacant Land$1,500,000
$5,150/yr taxListing Courtesy of RE/MAX Erie Shores Realty Inc. Brokerage

00 UPPER DWYER HILL ROAD, Ottawa
Vacant Land$1,500,000
$2,600/yr taxListing Courtesy of RE/MAX HALLMARK REALTY GROUP

20 ELLIOTT Street, Cambridge
Vacant Land$1,500,000
$6,732/yr taxListing Courtesy of Exit Integrity Realty

530 MUSKOKA BEACH ROAD, Gravenhurst (Muskoka (S))
Vacant Land$1,499,999
$2,277/yr taxListing Courtesy of SAM MCDADI REAL ESTATE INC.

LOT 261&262 SIDE ROAD 260, Melancthon
Vacant Land$1,499,900
$2,102/yr taxListing Courtesy of ROYAL LEPAGE SIGNATURE REALTY

25 SIMPSON AVENUE, Northern Bruce Peninsula
Vacant Land$1,499,900
$3,002/yr taxListing Courtesy of ROYAL LEPAGE NRC REALTY

804 SHADELAND AVENUE, Burlington (LaSalle)
Vacant Land$1,499,000
$7,229/yr taxListing Courtesy of RE/MAX ESCARPMENT REALTY INC.

LOT A COLUCCI DRIVE, Vaughan (East Woodbridge)
Vacant Land$1,499,000
Listing Courtesy of RE/MAX EXPERTS

LOT B COLUCCI DRIVE, Vaughan (East Woodbridge)
Vacant Land$1,499,000
Listing Courtesy of RE/MAX EXPERTS
Similar Properties ?Active Comparables — Search CriteriaSearch Radius2 kmPrice Range±5%Match Home TypeYesMatch BedroomsYes
No active comparables found in this area.
No rental comparables found in this area.
Sold Comparables
Access to sold property data requires a registered and verified account with TRREB DDF integration.
Coming SoonRented Comparables
Access to rented property data requires a registered and verified account with TRREB DDF integration.
Coming SoonBook a Viewing
0-4496 DOMINION ROAD, Fort Erie (Crescent Park), Ontario, L2A1H3
